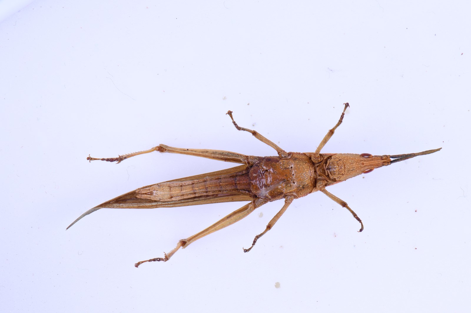
短额负蝗
Atractomorpha sinensis
节肢动物门 Arthropoda
昆虫纲 Insecta
直翅目 Orthoptera
锥头蝗科 Pyrgomorphidae
21131541139
2111C0006600278104
Zn001912
CAU
中国
中国农业大学昆虫标本馆
北京市
BJ
海淀区
中农西校区
张欣怡
1.完整
1.完全开放共享
普通
CSTR:19715.10.2111C0006600278104