专题库

您的位置:首页 > 专题库 > 秦岭动物物种

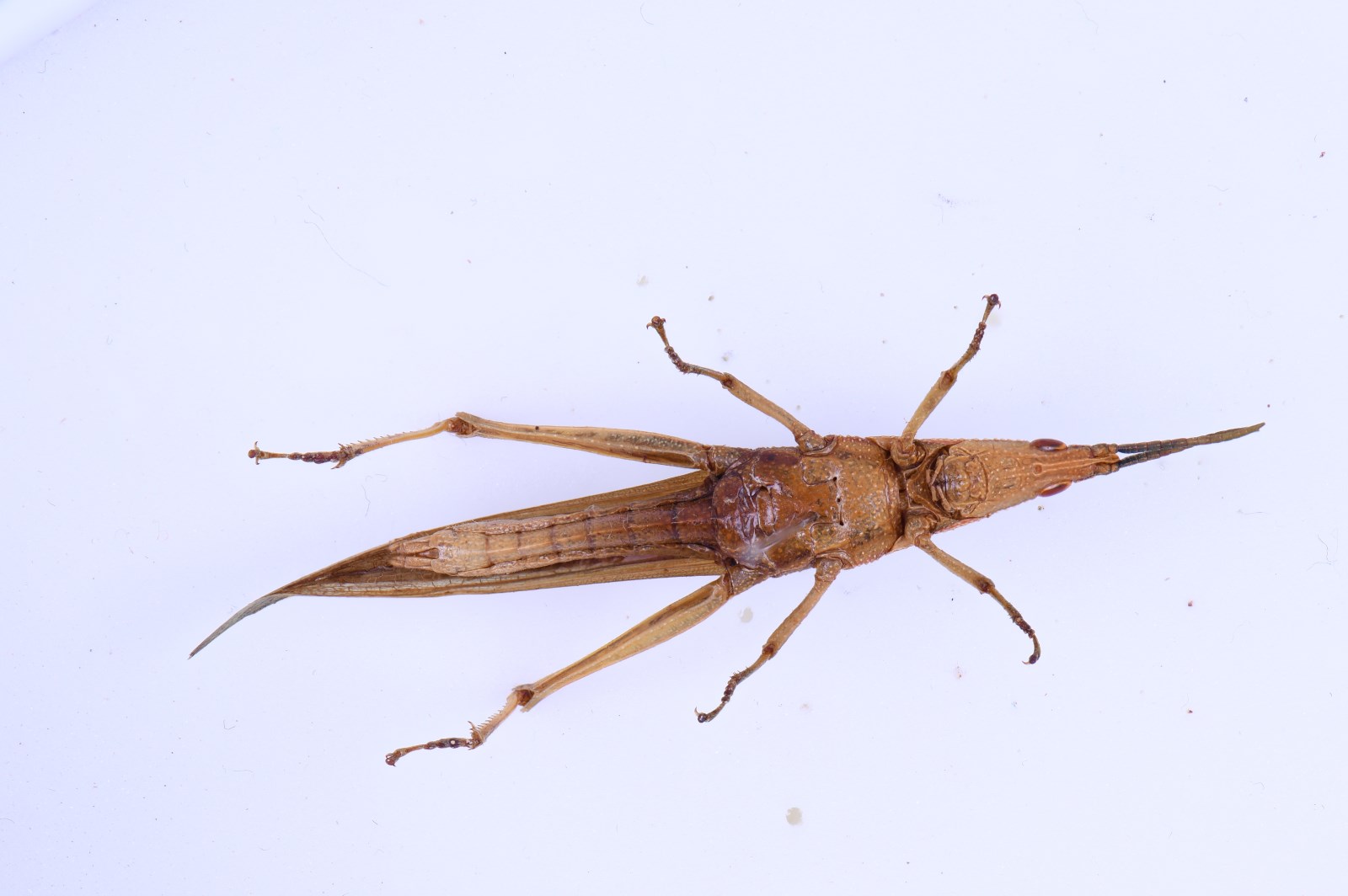
短额负蝗

2015年07月14日 09:23
中名:短额负蝗
门:节肢动物门
phylum:Arthropoda
纲:昆虫纲
class:Isecta
目:直翅目
order:Orthoptera
中文科名:锥头蝗科
科名:Pyrgomorphidae
亚科亚属名:Atractomorpha
种名:sinensis
作者:I.Bolivar
年代:1905
秦岭地区分布:陕西略阳、凤县
国内分布:陕西
保护级别:非保护
公约级别:普通
濒危级别:非濒危
中国特有:False
  • 物种名

    短额负蝗

  • 拉丁名

    Atractomorpha sinensis

  • 节肢动物门 Arthropoda

  • 昆虫纲 Insecta

  • 直翅目 Orthoptera

  • 锥头蝗科 Pyrgomorphidae

  • 资源编码

    21131541139

鉴定/评论

选择评论分类:

上一篇:甘肃鼹

下一篇: