专题库

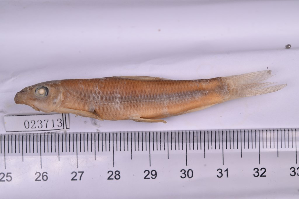
海南墨头鱼 Gars pingi hainanensis Chen et Zheng, 1983

2018年01月17日 07:05
  • 物种名

    海南墨头鱼

  • 拉丁名

    Garra hainanensis

  • 脊索动物门 Chordata

  • 鱼纲 Pisces

  • 鲤形目 Cypriniformes

  • 鲤科 Cyprinidae

  • 资源编码

    21131119225

  • 描述

    体长,稍呈圆筒形,尾部侧扁。下唇宽大,似椭圆形吸盘。鳞中等大,腹鳍前,后的鳞片显著变小且埋于皮下。腹鳍有一枚尖长的腋鳞。侧线平直,由鳃孔上角伸达尾柄中部。背鳍鳍点在腹鳍起点上前方。外缘凹,第一分枝鳍条最长。体浓黑褐色,腹部色较浅,各鳍灰黑色。

鉴定/评论

选择评论分类: