专题库

北京棒角蝗 14069255

2018年01月16日 03:42
北京棒角蝗 14069255-1
北京棒角蝗 14069255-2
北京棒角蝗 14069255-3
北京棒角蝗 14069255-4
中名:北京棒角蝗
属名:Gomphocerus
种名:peipingensis
标本号:14069255
leiqun:昆虫类
门:节肢动物门
phylum:Arthropoda
纲:昆虫纲
class:Insecta
目:直翅目
order:Orthoptera
中文科名:槌角蝗科
科名:Gomphoceridae
亚科中名:槌角蝗亚科
亚科名:Gomphocerinae
作者:Chang
年代:1939
cite1:NOTES D'ENTOMOLOGIE CHINOISE
论著版本:some new species of chinese acrididae
期刊卷期:NOTES D'ENTOMOLOGIE CHINOISE6:1-59
分类群页码:12
论文页码:1
图版页码:54
出版时间:1939
国内分布:吉林
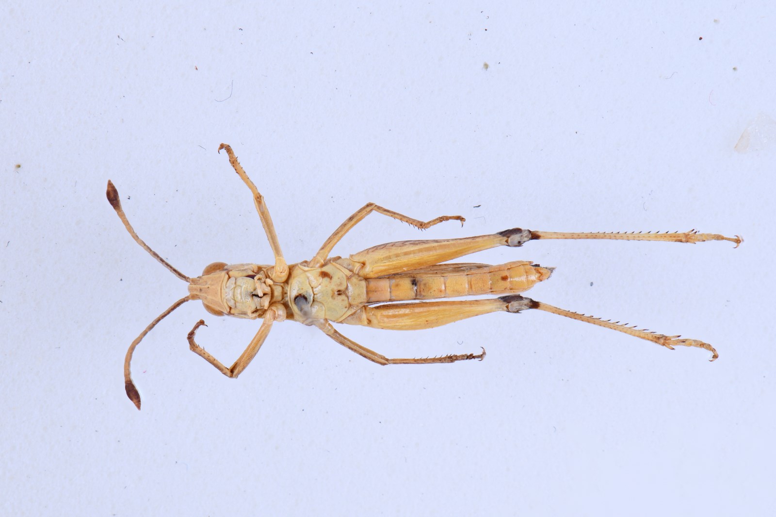
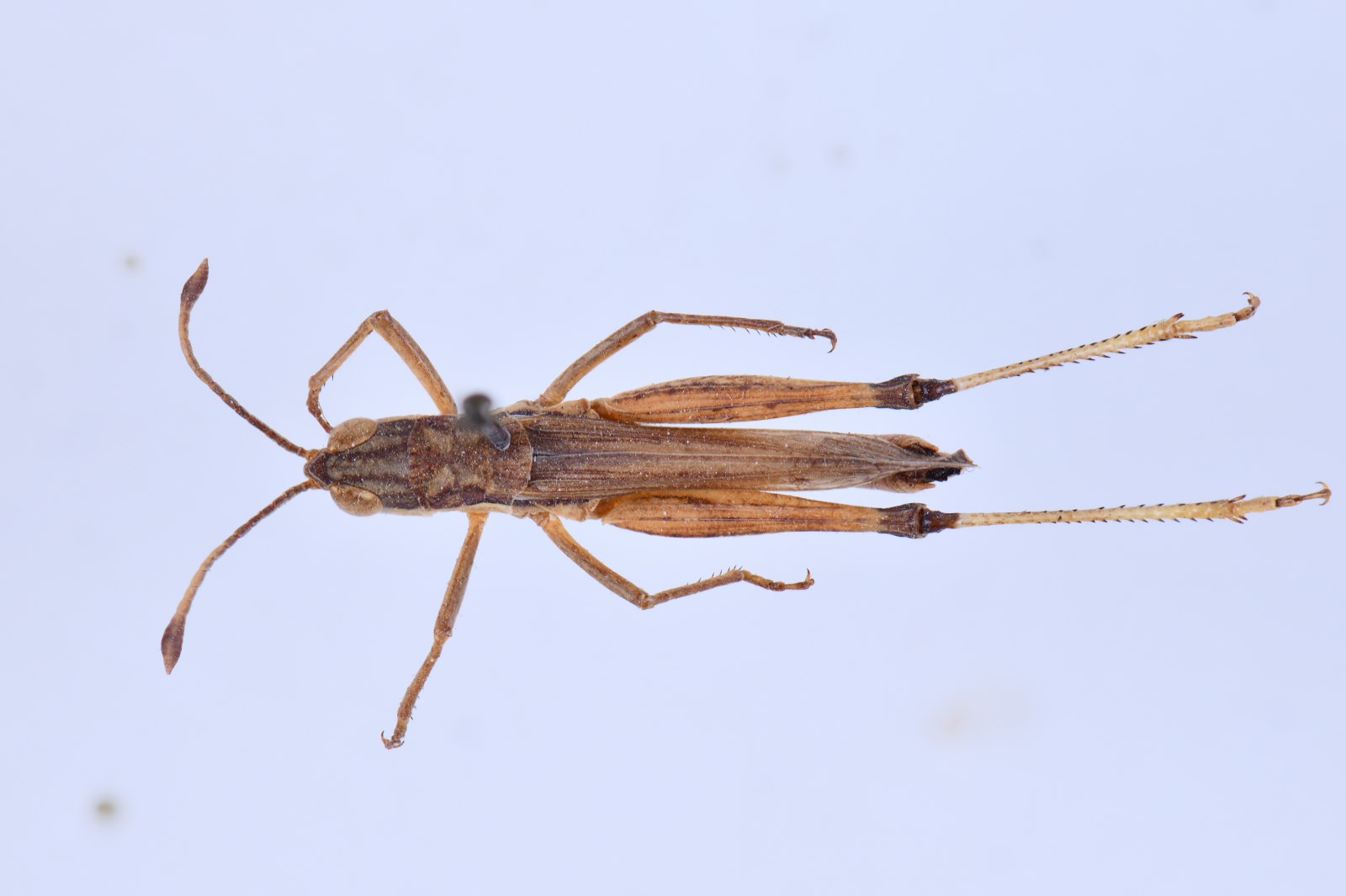
描述:雄性 体小型。头部较大而短,短于前胸背板。头顶较宽,顶端直角形,眼间距宽为颜面隆起宽的1.4—1.8倍,头侧窝明显,狭长四角形,其长为宽的1.4倍。颜面侧观向后倾斜,颜面隆起具纵沟。复眼卵形,其纵径为横径的1.4—1.7倍。触角细长,超过前胸背板后缘,顶端数节膨大(图12b)。前胸背板前缘较直,后缘弧形;中隆线较低,侧隆线在中部稍弯曲;侧隆线间最宽处大于最狭处的1.4倍;后横沟切断中隆线和侧隆线;在中隆线处向前弯曲;沟前区大于沟后区,沟前区长为沟后区的1.2—1.3倍(图12a)。中胸腹板侧叶间中隔最狭处与其长近相等。后胸腹板侧叶全长彼此分开。前翅狭长,超过后足股节的末端,其长为宽的6倍,翅顶尖圆,缘前脉域不到达前翅中部,前缘脉域大于亚前缘脉域的2.4倍,中脉域较狭,略小于肘脉域(图12c)。前足胫节下侧略具稀疏短绒毛,后足股节外侧上基片长于下基片。后足胫节缺外端刺,外缘具刺12—14个,内缘具刺12—13个。后足跗节第一节长为其余二节之和。肛上板三角形,基部具中纵沟;两侧缘中部向上卷起。尾须短锥形,不到达肛上板末端,顶端钝。下生殖板短锥形,顶尖(图12e)。阳具基背片如图12d。 雌性 体大于雄性,较粗壮。颜面隆起在中单眼以上平坦,以下具纵沟。触角端部6—7节略扁宽。前翅较短,到达后足股节末端。肛上板三角形,基部具纵沟。下产卵瓣粗短(图12f),下生殖板后缘中央略凹陷。 体色 触角顶端暗色。复眼后和前胸背板侧隆线外缘具暗褐色纵带。前胸背板侧片后下角具白斑。前翅前缘脉域基半部具白纵纹。后足膝部黑色或暗褐色。后足胫节黄褐色,基部黑色。雄性肛上板无黑边。 体长:♂16.0—18.3mm,♀20.0—22.5mm。 前胸背板长:♂3.2—3.6mm,♀3.4—3.9mm。 前翅长:♂12.0—14.6mm,♀14.3—15.5mm。 后足股节长:♂10.5—11.0mm,♀12.0—12.5mm。
资料来源:动物志
馆名:中国科学院上海昆虫博物馆
标本馆:SIE
性别:♀
国家:中国
产地1:BJ
采集地:北京
产地2:Peking
产地3:境内
采集日期:1934-07
采集人:K.S.Chang
标本属性:副模
pdf下载地址:14069255.pdf
  • 物种名

    北京棒角蝗

  • 拉丁名

    Dasyhippus peipingensis

  • 节肢动物门 Arthropoda

  • 昆虫纲 Insecta

  • 直翅目 Orthoptera

  • 剑角蝗科 Acridioidae

  • 资源编码

    21131541144

  • 描述

    体型细小,但匀称。雄性头短而大,短于前胸背板。头侧窝明显,狭长四方形,其长为宽的1.4倍。雄性触角细长, 超过前胸背板后缘,其顶端数节非常膨大。雌性体大于雄性,触角端部6-7节略扁。 体长:雄性16.0一18.3;雌性20.0一22.5毫米。前胸背板长:雄性.3 .2一3.6;雌性3.4一3.9毫米。前翅长:雄性12.0一14.6,雌性14.3一15.5毫米。后足股节长:雄性10.5一11.0;雌性12.0一12.5毫米。

鉴定/评论

选择评论分类: