专题库

突颊侧琵甲

2017年02月24日 12:46
leiqun:6
资源编码:21131567198
id:401397
物种编码:6HBU401397
中名:突颊侧琵甲
门:节肢动物门
phylum:Arthropoda
纲:昆虫纲
class:Isecta
目:鞘翅目
order:Coleoptera
中文科名:拟步甲科
科名:Tenebrionidae
亚科中名:拟步甲亚科
亚科名:Tenebrioninae
属名:Prosodes
亚属名:Prosodes
种名:dilaticollis
作者:Motschulsky
年代:1860
junior_syn:True
国内分布:新疆
国外分布:乌兹别克斯坦,哈萨克斯坦
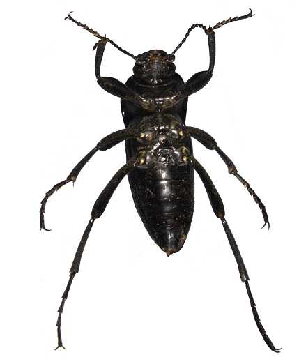
描述:♂:体狭长,尖卵形 ,亮漆黑色,仅跗爪和胫节端距棕色。唇基前缘弱弯, 两侧在与颊的交接处浅凹,颊向外扩展,眼比前颊宽;后颊在眼的后缘形成褶状构造,向颈部斜直地收缩;头背面稀布圆形深点,唇基沟细而弯曲,中间间断。触角长达前胸背板中部,第2-11节长(宽)比为:8(9): 23(10): 14(10): 13(10): 13(10): 13(12): 8(9.5): 8(9): 8(10): 14(10),第2-6节圆柱形或近于圆柱形,第7节较粗,圆三角形, 第8-10节球形并变细,端节尖心形,第3-7节多毛,第3节长约为第4节的1.5倍。前胸背板近于正方形,宽是长的1.24倍,最宽处位于中后部,为头宽的1.67倍。前缘近于直,仅两侧有饰边;侧缘弱弯,前半部较收缩,其背面平展,后半部近于直,翘起,无饰边;基部中间宽直,仅两侧向后角突出,无饰边;背面中间宽平,侧缘和基部附近下陷,前缘、最宽处、基部比为:49: 82: 70;盘区后缘凹陷,两侧有细刻点。前胸侧板密布皱纹,局地有横皱纹。前足基节间腹突中间有纵沟,下折部分在中间细小,端部扩大。鞘翅尖三卵形,长为宽的1.84倍,最宽处位于前部,为前胸背板的1.06倍;拱背,向两侧急剧地落下;鞘翅不比前胸宽,小盾片后面的翅缝凹陷,端部 1/3陡降,翅上无刻点,只有不明显细皱纹。腹部非常圆拱,中间及两侧有很小的具毛木锉状刻点;肛节的刻点略深和无毛。足较长,前、中、后足腿节的长(宽)比为:66(17): 76(16): 104(15),相应的胫节比为:57(10): 62(11): 99(10);前足胫节内缘直,端部突出并有突垫,前足跗节前3节下面有突垫;中足胫节内侧端部也有突垫;后足腿节长于腹部末端。阳茎背面近黑色,较缓弧弯,阳茎基板长为基侧突的2.16倍,基侧突长是宽的3.08倍。 ♀:鞘翅较宽阔,有较密刻点,常有2个明显背沟。 体长:♂20.5mm;宽:♂8.2mm。
保护级别:非保护
公约级别:普通
濒危级别:非濒危
中国特有:False
资料来源:李哲. 中国琵甲族系统学研究(鞘翅目:拟步甲科). 河北大学硕士学位论文,2002:68.
馆名:河北大学标本馆
标本馆:HBU
已选择:False
已校对:False
  • 物种名

    突颊侧琵甲

  • 拉丁名

    Prosodes dilaticollis

  • 节肢动物门 Arthropoda

  • 昆虫纲 Insecta

  • 鞘翅目 Coleoptera

  • 拟步甲科 Tenebrioidae

  • 资源编码

    21131567198

  • 描述

    体狭长,尖卵形,亮漆黑色,仅跗爪和胫节端距棕色。 ♂:唇基前缘弱弯,侧缘与颊交接处浅凹,额唇基沟细而弯曲,中间间断;前颊向外扩展,眼较前颊宽;后颊在眼后缘形成皱褶,向颈部斜直收缩;头背面稀布圆形深点。触角向后长达前胸背板中部;第2-6节近圆柱形,第7节较粗,圆三角形,第8-10节球形,末节尖心形,第3-7节多毛,第3节长约为第4节1.5倍;第2-11节相对长(宽)比为:4.0(4.5),11.5(5.0),7.0(5.0),6.5(5.0),6.5(5.0),6.5(6.0),4.0(4.7),4.0(4.5),4.0(5.0),7.0(5.0)。 前胸背板近正方形,宽大于长约1.2倍,为头宽约1.7倍;前缘近于直,仅两侧有饰边;侧缘弱弯,中后部最宽,前半部较收缩,其背面平展,后半部近于直,翘起,前缘、最宽处、基部相对宽度之比为:4.9,8.2,7.0,无饰边;基部中间宽直,仅两侧向后角突出,无饰边;背面中间宽平,侧缘和基部附近下陷;盘区后缘凹陷,两侧有细刻点。前胸侧板密布皱纹,局地有横皱纹。前胸腹突中间有纵沟,下折部分在中间细小,端部扩大。 鞘翅尖三卵形,长大于宽约1.8倍,不比前胸宽;中部之前最宽,拱背,向两侧急剧地落下;小盾片后面的翅缝凹陷,端1/3陡降,翅上无刻点,只有不明显细皱纹。腹部非常圆拱,中间及两侧有很小的具毛木锉状刻点;肛节的刻点略深和无毛。 足较长,前、中、后足腿节和胫节的长(宽)比为:腿节6.6(1.7),7.6(1.6),10.4(1.5),胫节5.7(1.0),6.2(1.1),9.9(1.0);前足胫节内缘直,端部突出并有突垫,跗节前3节下面有突垫;中足胫节内侧端部也有突垫;后足腿节长于腹部末端。 阳茎背面近黑色,较缓弧弯,阳茎基板长于阳基侧突约2.2倍,阳基侧突长大于宽约3.1倍。 ♀:鞘翅较宽阔,刻点较密,常有2个明显背沟。 体长:20.0-24.0 mm;宽:8.2 mm。

鉴定/评论

选择评论分类:

上一篇:埃德侧琵甲

下一篇: