专题库

台湾毒甲

2017年02月23日 09:55
leiqun:6
资源编码:21131567198
id:400512
物种编码:6HBU400512
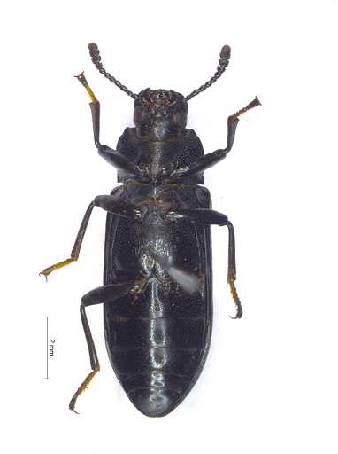
中名:台湾毒甲
门:节肢动物门
phylum:Arthropoda
纲:昆虫纲
class:Isecta
目:鞘翅目
order:Coleoptera
中文科名:拟步甲科
科名:Tenebrionidae
属名:Toxicum
种名:formosanum
作者:Kulzer
年代:1950
junior_syn:True
国内分布:台湾、云南
描述:体大型,强壮,圆柱形,背面黑色,覆盖丝绒状涂层,刻点清晰可辨的, 腹面、足和触角亮黑色。 ♂:眼内侧具2角,其基部弱四棱形,由基部向端部强烈外弯,由此向内弧弯至顶端,顶端宽且下弯;背观犄角似羚角形,角上刻点粗糙,几乎皱纹状;角的后侧具毛,前半部被稠密黄毛,侧观靠近后侧并向前略弯;唇基前缘具1较宽长的角,略扁凹,末端平行,背面扁碗状弯曲,具稠密的细刻点或完全光裸;头背面刻点向后变为明显,以眼内缘的较细小,唇基和头近于平坦。唇基前缘上弯,后缘圆凸;刺突向上轻微变弯。复眼后缘直而突出。头腹面具皱纹状刻点,颏心形,前缘凹,2侧具毛片组成的尖三角形齿突。触角端4节扁棒状,每个棒节明显分开。 前胸背板宽略大于长,基缘和前缘微二湾状,后角直角形,前角圆。侧缘前面强烈变弯,后面轻微变弯;盘区隆起,有稠密的不规则小刻点;侧缘饰边完整;前后缘仅中部无饰边;腹面亮黑并有明显刻点。前胸腹突有2缝,末端陡降,且下降部分形成1小纽扣。 鞘翅比前胸背板基部稍宽,刻点行浅,规则并在端部变为细小但清晰,行间扁平,具极小刻点,两侧平行,末端微缩;肩不发达。 腹面黑亮,近于光秃;第1腹板刻点明显,以后各节向肛节逐渐变弱;中胸腹板中部有强烈的三角形凹,其侧缘环形隆起。♀唇基中部略凸,前缘直。头具粗糙刻点;前胸背板基部两侧各有1横沟;小盾片桃形,具小刻点。
保护级别:非保护
公约级别:普通
濒危级别:非濒危
中国特有:True
资料来源:吴琦琦. 中国毒甲族区系分类与生物地理(鞘翅目:拟步甲科). 河北大学硕士学位论文,2009:40.
馆名:河北大学标本馆
标本馆:HBU
已选择:False
已校对:False
  • 物种名

    台湾毒甲

  • 拉丁名

    Toxicum formosanum

  • 节肢动物门 Arthropoda

  • 昆虫纲 Insecta

  • 鞘翅目 Coleoptera

  • 拟步甲科 Tenebrioidae

  • 资源编码

    21131541000

  • 描述

    体大型,强壮,圆柱形,背面黑色,覆盖丝绒状涂层,刻点清晰可辨的, 腹面、足和触角亮黑色。 ♂:眼内侧具2角,其基部弱四棱形,由基部向端部强烈外弯,由此向内弧弯至顶端,顶端宽且下弯;背观犄角似羚角形,角上刻点粗糙,几乎皱纹状;角的后侧具毛,前半部被稠密黄毛,侧观靠近后侧并向前略弯;唇基前缘具1较宽长的角,略扁凹,末端平行,背面扁碗状弯曲,具稠密的细刻点或完全光裸;头背面刻点向后变为明显,以眼内缘的较细小,唇基和头近于平坦。唇基前缘上弯,后缘圆凸;刺突向上轻微变弯。复眼后缘直而突出。头腹面具皱纹状刻点,颏心形,前缘凹,2侧具毛片组成的尖三角形齿突。触角端4节扁棒状,每个棒节明显分开。 前胸背板宽略大于长,基缘和前缘微二湾状,后角直角形,前角圆。侧缘前面强烈变弯,后面轻微变弯;盘区隆起,有稠密的不规则小刻点;侧缘饰边完整;前后缘仅中部无饰边;腹面亮黑并有明显刻点。前胸腹突有2缝,末端陡降,且下降部分形成1小纽扣。 鞘翅比前胸背板基部稍宽,刻点行浅,规则并在端部变为细小但清晰,行间扁平,具极小刻点,两侧平行,末端微缩;肩不发达。 腹面黑亮,近于光秃;第1腹板刻点明显,以后各节向肛节逐渐变弱;中胸腹板中部有强烈的三角形凹,其侧缘环形隆起。♀唇基中部略凸,前缘直。头具粗糙刻点;前胸背板基部两侧各有1横沟;小盾片桃形,具小刻点。

鉴定/评论

选择评论分类:

上一篇:穆萨毒甲

下一篇: