专题库

扁指毒甲

2017年02月23日 09:31
leiqun:6
资源编码:21131567198
id:400504
物种编码:6HBU400504
中名:扁指毒甲
门:节肢动物门
phylum:Arthropoda
纲:昆虫纲
class:Isecta
目:鞘翅目
order:Coleoptera
中文科名:拟步甲科
科名:Tenebrionidae
属名:Toxicum
种名:digitatum
作者:Ren et Wu
年代:2007
junior_syn:True
国内分布:云南
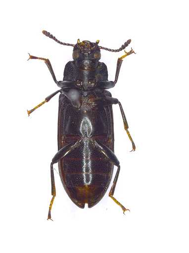
描述:体长卵形,黑亮,外咽片暗红;头横宽;唇基前缘近于直,中间2枚乳状突起;前角钝三角形,唇基沟半圆形;眼内角扁拇指状,端部稍靠近,光裸无毛;额深凹,刻点圆而深,均匀分布,刻点之间有微粒;唇基和前颊的刻点较密和浅小。触角端部4节连接紧密,内侧突出,末节扁圆形。前胸背板近方形,宽是长的1.07倍;前缘略凹,仅两侧角具细饰边;侧缘近于平行,饰边窄而完整;基部2湾,无饰边;前角锐圆,后角突出;盘区中沟短小,刻点深圆,向两侧渐变密,其间布小刻点。小盾片上刻点浅小。鞘翅略较前胸背板基部为宽,微拱,肩钝,侧缘由背面几乎不可见,饰边窄而完整;行上刻点圆,行间扁平,鞘翅被油污,具微粒。颏心形,前缘浅凹,两侧各1锐突。前胸侧板中间隆起,刻点深,卵圆形;腹板刻点皱纹状;腹突平直,有粗糙刻点,顶部直截。后胸中间有具毛小刻点,基半部两侧近于光裸。腹部有具毛小刻点。阳茎长1.87 mm,基侧突长于基板1.31倍。 雌性头无角,唇基中部两侧隆起,中线处凹,眼内侧脊状凸起,颅面斜凹,在中间形成1凹坑,具粗糙致密刻点,刻点间有小刻点。前胸背板宽/长=1.3,前缘中部几直,盘区基部2侧近后角处各具1斜凹。腹部前胸侧板具致密刻点,与腹突相接处光滑无刻点,腹突顶圆,余特征同雄性。
保护级别:非保护
公约级别:普通
濒危级别:非濒危
中国特有:True
资料来源:吴琦琦. 中国毒甲族区系分类与生物地理(鞘翅目:拟步甲科). 河北大学硕士学位论文,2009:44.
馆名:河北大学标本馆
标本馆:HBU
已选择:False
已校对:False
  • 物种名

    扁指毒甲

  • 拉丁名

    Toxicum digitatum

  • 节肢动物门 Arthropoda

  • 昆虫纲 Insecta

  • 鞘翅目 Coleoptera

  • 拟步甲科 Tenebrioidae

  • 资源编码

    21131567198

  • 描述

    体长卵形,黑亮,外咽片暗红;头横宽;唇基前缘近于直,中间2枚乳状突起;前角钝三角形,唇基沟半圆形;眼内角扁拇指状,端部稍靠近,光裸无毛;额深凹,刻点圆而深,均匀分布,刻点之间有微粒;唇基和前颊的刻点较密和浅小。触角端部4节连接紧密,内侧突出,末节扁圆形。前胸背板近方形,宽是长的1.07倍;前缘略凹,仅两侧角具细饰边;侧缘近于平行,饰边窄而完整;基部2湾,无饰边;前角锐圆,后角突出;盘区中沟短小,刻点深圆,向两侧渐变密,其间布小刻点。小盾片上刻点浅小。鞘翅略较前胸背板基部为宽,微拱,肩钝,侧缘由背面几乎不可见,饰边窄而完整;行上刻点圆,行间扁平,鞘翅被油污,具微粒。颏心形,前缘浅凹,两侧各1锐突。前胸侧板中间隆起,刻点深,卵圆形;腹板刻点皱纹状;腹突平直,有粗糙刻点,顶部直截。后胸中间有具毛小刻点,基半部两侧近于光裸。腹部有具毛小刻点。阳茎长1.87 mm,基侧突长于基板1.31倍。 雌性头无角,唇基中部两侧隆起,中线处凹,眼内侧脊状凸起,颅面斜凹,在中间形成1凹坑,具粗糙致密刻点,刻点间有小刻点。前胸背板宽/长=1.3,前缘中部几直,盘区基部2侧近后角处各具1斜凹。腹部前胸侧板具致密刻点,与腹突相接处光滑无刻点,腹突顶圆,余特征同雄性。

鉴定/评论

选择评论分类:

上一篇:尖角毒甲

下一篇: