专题库

东亚飞蝗

2017年02月23日 02:10
leiqun:6
资源编码:21131541000
id:790004
物种编码:6HBU790004
中名:东亚飞蝗
门:节肢动物门
phylum:Arthropoda
纲:昆虫纲
class:Isecta
目:直翅目
order:Orthoptera
中文科名:蝗科
科名:Acrididae
属名:Locusta
种名:migratoria
亚种名:manilensis
作者:(Meyen)
年代:1835
junior_syn:True
国内分布:河北、山西、陕西,福建、广东、海南、广西、云南,,四川、甘肃。
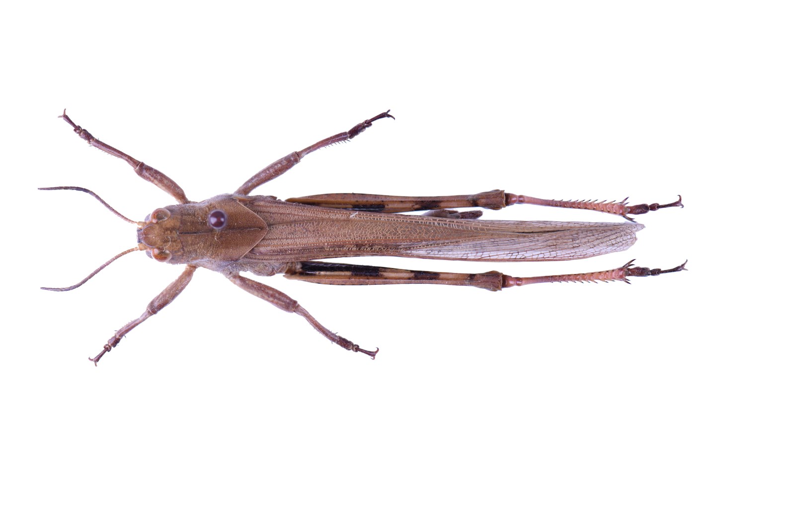
描述:雄性 体中大型,小于亚洲飞蝗而大于西藏飞蝗。头大而短,较短于前胸背板。颜面垂直或微倾斜,颜面隆起宽平,侧缘几乎平行。头侧窝缺如。触角丝状,刚超过前胸背板后缘。复眼长卵形。前胸背板中隆线由侧面观呈弧形(散居型)或平直或中部略凹(群居型),后缘直角形或锐角形(散居型)或钝角形(群居型);后横沟切断中隆线,沟前区略短于沟后区。前胸腹板平坦。中胸腹板中隔较长略大于宽。前后翅均发达,前翅明显超过后足胫节中部,中脉域的中闰脉接近肘脉。后翅略短于前翅。鼓膜器发达,鼓膜片覆盖鼓膜孔的1/2以上。后足股节匀称,长为最大宽的4倍多。后足胫节内侧具刺11-12个,外侧具刺11个,缺外端刺。跗节爪间中垫略不到达爪之中部。下生殖板短锥形,顶端略细。 体色 绿色、前胸背板中隆线两侧无黑色纵条纹(散居型),体黄褐色或暗褐色、前胸背板中隆线两侧具丝绒状黑色纵条纹(群居型)。前翅褐色,具许多暗色(黑褐色)斑点。后翅本色透明,基部略具淡黄色。后足股节上侧具二个暗色横斑或不明显,内侧基部之半黑色,内侧下隆线与下隆线之间在其全长近1/2处非皆为黑色。后足胫节桔红色。 雌性 体较雄性粗壮。颜面垂直,产卵瓣粗短,顶端略呈钩状,边缘光滑无细齿。余相似于雄性。 体长:♂32.4-48.1mm(平均:35.0mm),♀38.6-52.8mm(平均:45.8mm); 前翅长:♂34.0-43.8mm(平均:39.3mm),♀44.5-55.9mm(平均:49.5mm); 后足股节长:♀19.2-28.2mm(平均:21.8mm),♀22.0-30.0mm(平均:26.8mm)。
保护级别:非保护
公约级别:普通
濒危级别:非濒危
中国特有:True
资料来源:郑哲民等.1998.中国动物志 昆虫纲 第十卷 直翅目 蝗总科 斑翅蝗科 网翅蝗科.北京:科学出版社,31.
馆名:河北大学标本馆
标本馆:HBU
已选择:False
已校对:False
  • 物种名

    东亚飞蝗

  • 拉丁名

    Locusta migratoria

  • 节肢动物门 Arthropoda

  • 昆虫纲 Insecta

  • 直翅目 Orthoptera

  • 剑角蝗科 Acridioidae

  • 资源编码

    21131541144

  • 描述

    成虫头部较宽,复眼较大。前胸背板略短,沟前区明显缩狭,沟后区较宽平。前胸背板中隆线较平直;前缘近圆形,后缘呈钝圆形。前翅较长,远超过腹部末端,后足胫节淡黄色,体呈黑褐色且较固定。前翅长:雄性43—55毫米,雌性53—61毫米。后足股节长:雄性21—26毫米,雌性24—31毫米。散居性成虫头部较狭,复眼较小。前胸背板稍长,沟前区不明显缩狭,沟后区略高,不呈鞍状,前胸背板中隆线呈弧状隆起,呈屋脊状;前胸背板前缘为锐角形向前突出,后缘呈直角形,前翅较短,略超过腹部尾端,后足股节常为淡红色。体色随环境的变化而变化,一般呈绿色或黄绿色、灰褐色等。 前翅长:雄性为43—55毫米,雌性为53—60毫米稍长,后足股节长:雄性22—26毫米,雌性27—31毫米。

鉴定/评论

选择评论分类:

上一篇:中华剑角蝗

下一篇: