物种库

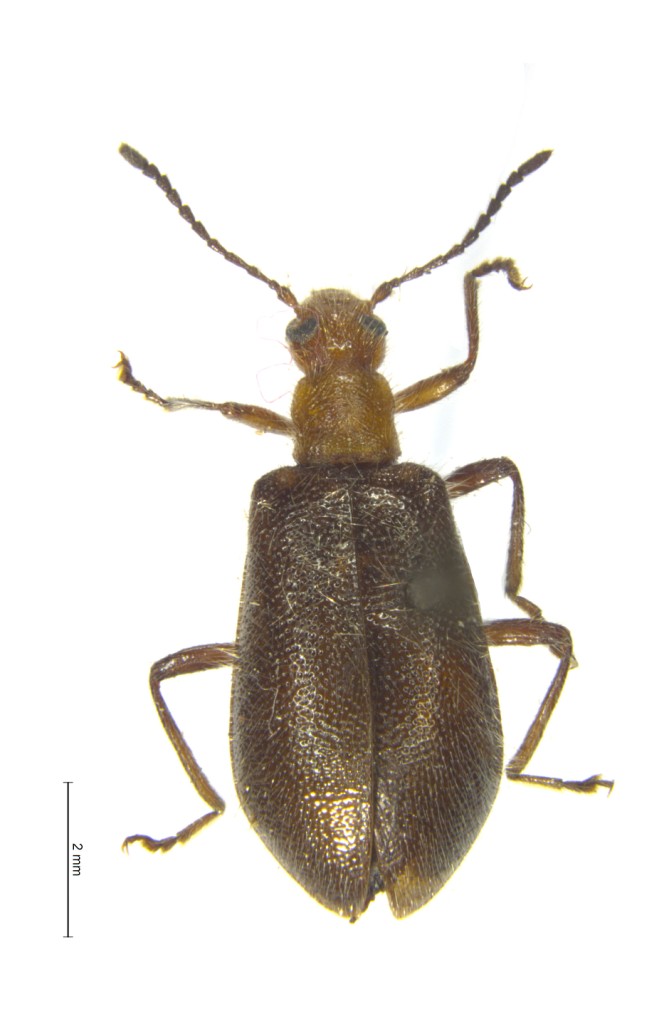
差角伪叶甲 Cerogria anisocera

物种信息

  • 物种名

    差角伪叶甲

  • 拉丁名

    Cerogria anisocera

  • 节肢动物门 Arthropoda

  • 昆虫纲 Insecta

  • 鞘翅目 Coleoptera

  • 拟步甲科 Tenebrionidae

  • 资源编码

    21131567198

  • 描述

    ♂:头、前胸背板、足褐色至黑褐色,触角鞭节黑褐色,鞘翅色较深,深褐色至黑色,个别单一黄褐色(未成熟个体?);背面有白色的长茸毛。体长6.0-7.0 mm。头近与前胸背板等宽,上唇、唇基前缘均凹,额唇基沟弧形弯曲,中间深,两侧浅;额侧突基瘤光亮,隆起甚高于唇基,额不平坦,刻点粗密;复眼细长,前缘中部深凹,稍高于眼间额,眼间距与复眼横径相等;触角向后超过鞘翅肩部,基节粗壮,第4-7 节甚变形,内缘有刃脊,第8 节细小,第9 节端部内缘强烈齿状突出,第10 节稍齿状突出,第11 节弯曲,腹面稍凹,等于其前5 节长度之和。前胸背板布密集的刻点,中区的较细小,隆凸,基部背面两侧有横压痕;中部稍前收缩,前、后缘清晰,后缘低于盘区,前角圆,后角略突出。 鞘翅刻点间区为1-3 个刻点直径,向两侧渐密;肩角稍隆起;鞘翅饰边仅肩部不可见;缘折常形。足、腹部常形。 ♀:体长6.8-7.5 mm。眼间距稍大于复眼横径;触角末节等于其前2 节长度之和。前胸背板中央有纵向的密毛疤痕

平台号 馆名 标本号 资源编码
2113C0001600145865 河北大学标本馆 152672 21131567198
2113C0001600145864 河北大学标本馆 152671 21131567198
2113C0001600145863 河北大学标本馆 152670 21131567198
2113C0001600145862 河北大学标本馆 152669 21131567198
2113C0001600145861 河北大学标本馆 152668 21131567198
2113C0001600145860 河北大学标本馆 152667 21131567198
共150条信息 共25页 每页显示6条

鉴定/评论

选择评论分类: