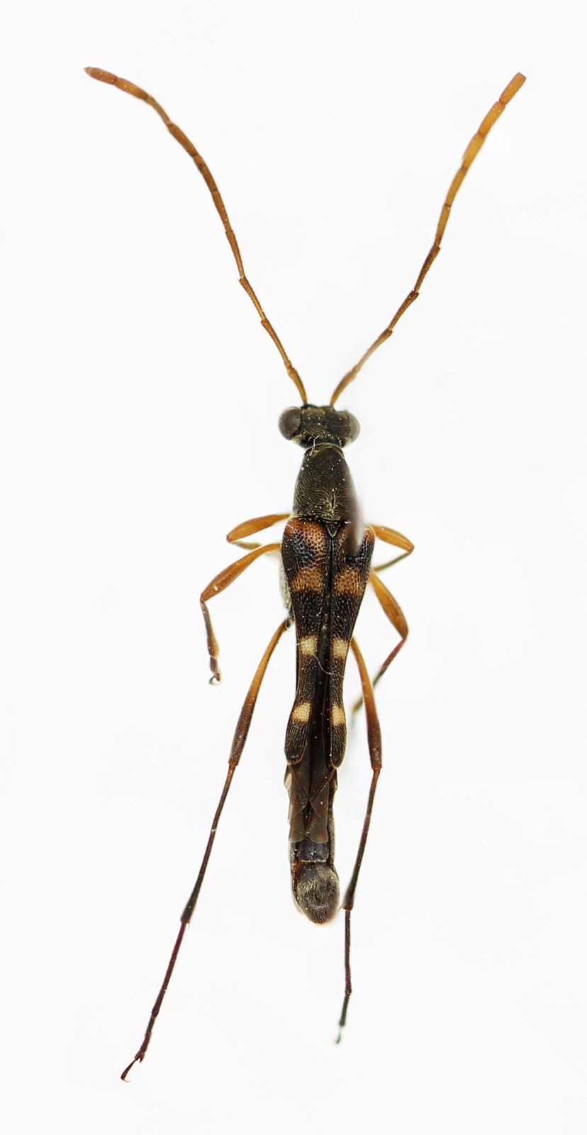
连纹小花天牛

缩略图

  • 物种名

    连纹小花天牛

  • 拉丁名

    Nanostrangalia chujoi

  • 节肢动物门 Arthropoda

  • 昆虫纲 Insecta

  • 鞘翅目 Coleoptera

  • 天牛科

  • 资源编码

    21131567214

  • 描述

    体长8—10 mm,体宽1.5—1.8 mm。 体小型,瘦长,黑色,被黄白色短毛。头部、前胸及体腹面黑色,触角黄褐色,末端二节(雄虫)或三节(雌虫)黑褐色,雄虫前足腿节、胫节及中足腿节黄褐色,跗节、后足及中足胫节基部黑褐色。鞘翅黑色,具3条黄色带纹:第一条最宽大,位于翅基部,向外开口;第二条位于翅中部,横形;第三条位于翅端部1/3的中央,长方形。 头部甚短而横宽,额长方形平坦,密布细刻点;头顶密布细刻点,中央具纵沟;复眼大,呈半球形突出,头部在复眼后紧缩呈细颈状;触角细长,略超过鞘翅末端,显著向端部加粗,第三节最长,约近柄节长的一倍半,第五节长于第四节略短于第三节。前胸钟形,长胜于宽,前端急剧缩窄,背面隆起,密布细刻点,中央具1光滑的细纵线,后角略突出。小盾片长三角形,末端尖。鞘翅极狭长,基部比前胸宽,侧缘显著向内凹,中点之后处最窄,两翅端部分开,末端平截;翅面密布较粗刻点。足细长,后足腿节伸达第四腹节,后足第一跗节超过其余各节总长。腹部末三节外露,雄虫第五腹节自中点之前开始渐向后端深凹,后缘平直。

鉴定/评论

选择评论分类: