平行大轴甲

缩略图

  • 物种名

    陈氏大轴甲

  • 拉丁名

    Promethis parallela

  • 节肢动物门 Arthropoda

  • 昆虫纲 Insecta

  • 鞘翅目 Coleoptera

  • 拟步甲科 Tenebrioidae

  • 资源编码

    21131567198

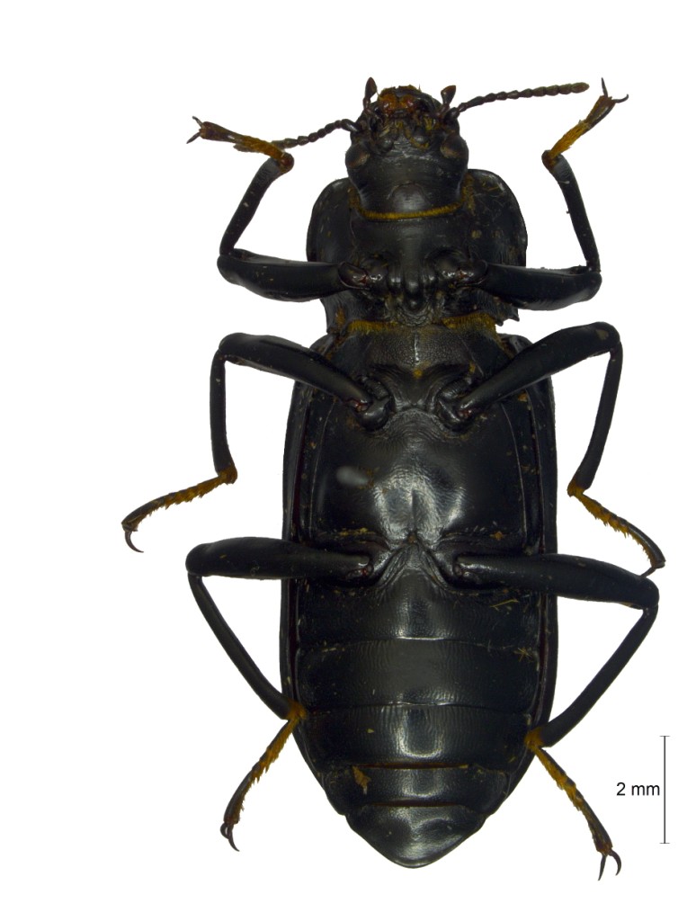
  • 描述

    体棕黑色;触角、小盾片、鞘翅、体腹面棕红色;弱丝状光泽,前胸背板饰边、小盾片、腿节及末2腹节中度光泽。头近六边形,较隆起,端部较平,小刻点较稠密;唇基较明显、弱隆起,前缘近于直截,唇基沟向两端斜向弯曲达外缘;颊扇形,沿复眼具刻点;眼中等大,向上隆起,背面横卵形,后部短弓形,眼间距约为眼径的2.5倍。前胸背板近心形,盘区弱拱,端1/3处最宽;前缘弱弓形内凹,无或几乎无饰边;后缘弱二弯形;前角宽圆,后角锐且轻微斜向伸出。小盾片近心形。鞘翅表面粗鲨皮状,近端1/3处最宽,向后圆缩,向前稍变窄;刻点行上刻点很小;行间扁平,外侧有窄纵行和非常小的刻点。前胸腹板中等大,扁平,直而轻轻弯曲。中胸腹板虽然在胯前凹陷,但凹不呈深V形,侧缘不是角状。肛节尖圆,端部明显具边或只有横凹。前足胫节细长,端部内弯,内侧无齿。中足腿节下侧光裸,胫节内侧约在中部之前有1齿状扩大。后足胫节端部变粗,之前的截面为勺状深沟。爪很长,镰钩形。 体长:18.0~23.0 mm;宽6.0~7.0 mm。

鉴定/评论

选择评论分类: