文县大轴甲

缩略图

  • 物种名

    文县大轴甲

  • 拉丁名

    Promethis wenxiana

  • 节肢动物门 Arthropoda

  • 昆虫纲 Insecta

  • 鞘翅目 Coleoptera

  • 拟步甲科 Tenebrioidae

  • 资源编码

    21131567198

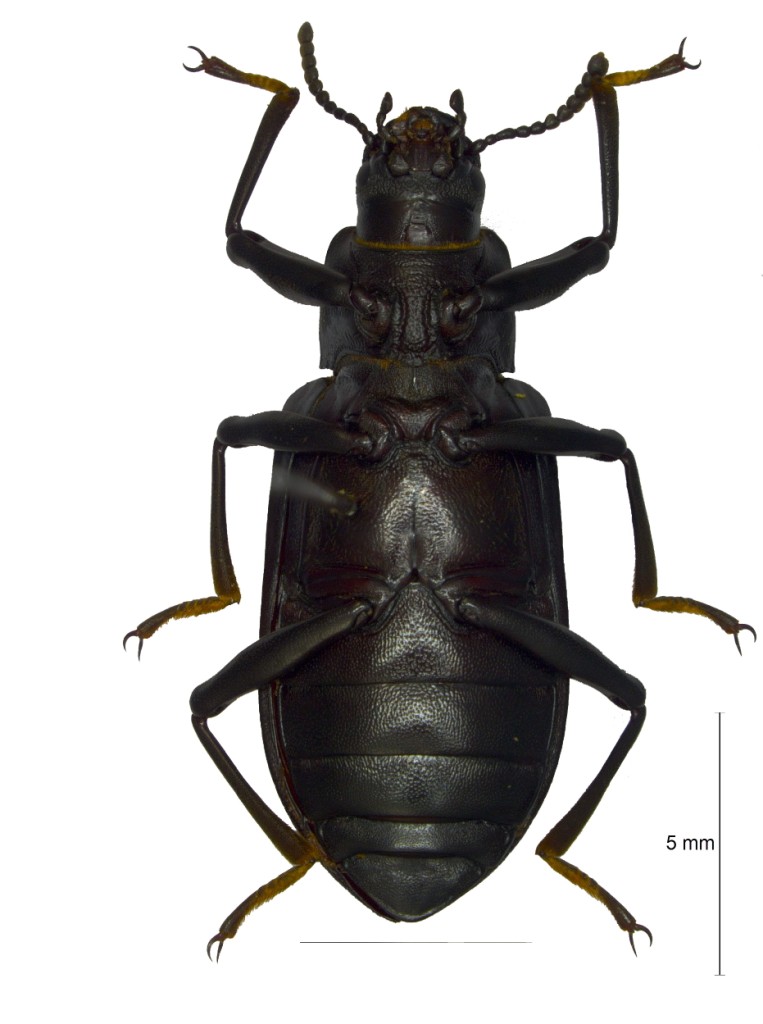
  • 描述

    黑色,口须、上唇和触角深棕色,具弱光泽。上唇梯形,中间具横隆,密布小圆刻点;前缘直,被棕毛。唇基前缘近于直,侧角圆;前颊圆形,后颊阶梯状收缩;额区扁平,常具皱纹,眼褶明显,刻点前密后稀。触角长达前胸背板中部,第3节长于4节1.5倍,后者略长于第5节,第6~7节长大于宽,第8节长宽近相等,第9~10节宽大于长,末节粗大,卵形。颏倒梯形,背面前高后低,基部被疏毛,前端圆,两侧斜直。前胸背板近横方形,宽大于长1.25倍;前缘近于直,仅两侧有饰边;侧缘中间最宽,由中部向前斜直地、向后急剧地收缩,基部之前缢缩,饰边完整;基部中间宽圆,两侧斜直,饰边粗;前角钝圆,后角尖突;背面圆拱,基部两侧各有1斜短线,布均匀的疏点。小盾片三角形,有疏点。鞘翅长大于宽3.14倍,前缘弯曲、低凹;最宽处位于翅坡之前,背面观饰边完整;刻点行由内向外变粗,行间隆起,仅内侧3个行间有小刻点。前胸侧板有模糊刻点和皱纹;腹突宽扁,两侧具纵沟,顶圆。中胸腹突颈状部有中脊和横皱纹,后缘两侧突出,前、后侧片布刻点和皱纹。后胸腹板中间光滑并有明显中沟,仅侧缘和侧片有刻点。腹部各节有相同的刻点和皱纹;肛节沿外侧饰边在端部粗。前足腿节棍棒状,下缘直,上缘显隆。中、后足腿节较直;胫节基部2/3直,端部弯曲,其内侧被金色毛。 体长:11.0~22.0 mm;宽:8.0~9.0 mm。

鉴定/评论

选择评论分类: