差角伪叶甲

缩略图

  • 物种名

    差角伪叶甲

  • 拉丁名

    Cerogria anisocera

  • 节肢动物门 Arthropoda

  • 昆虫纲 Insecta

  • 鞘翅目 Coleoptera

  • 拟步甲科 Tenebrioidae

  • 资源编码

    21131567198

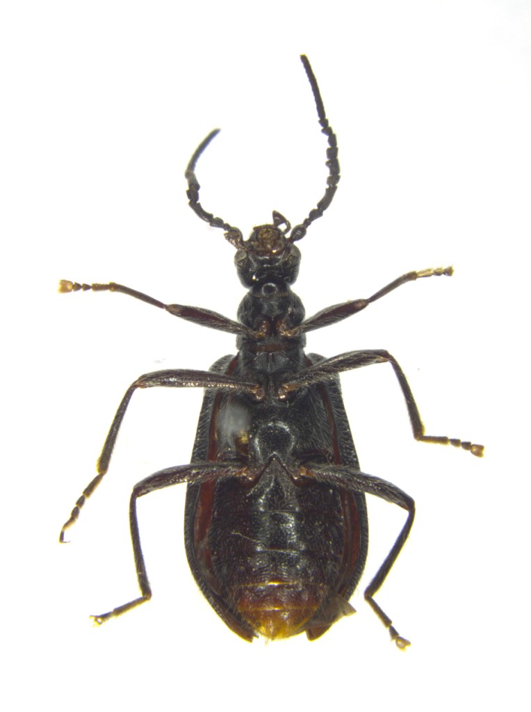
  • 描述

    ♂:头、前胸背板、足褐色至黑褐色,触角鞭节黑褐色,鞘翅色较深,深褐色至黑色,个别单一黄褐色(未成熟个体?);背面有白色的长茸毛。体长6.0-7.0 mm。头近与前胸背板等宽,上唇、唇基前缘均凹,额唇基沟弧形弯曲,中间深,两侧浅;额侧突基瘤光亮,隆起甚高于唇基,额不平坦,刻点粗密;复眼细长,前缘中部深凹,稍高于眼间额,眼间距与复眼横径相等;触角向后超过鞘翅肩部,基节粗壮,第4-7 节甚变形,内缘有刃脊,第8 节细小,第9 节端部内缘强烈齿状突出,第10 节稍齿状突出,第11 节弯曲,腹面稍凹,等于其前5 节长度之和。前胸背板布密集的刻点,中区的较细小,隆凸,基部背面两侧有横压痕;中部稍前收缩,前、后缘清晰,后缘低于盘区,前角圆,后角略突出。 鞘翅刻点间区为1-3 个刻点直径,向两侧渐密;肩角稍隆起;鞘翅饰边仅肩部不可见;缘折常形。足、腹部常形。 ♀:体长6.8-7.5 mm。眼间距稍大于复眼横径;触角末节等于其前2 节长度之和。前胸背板中央有纵向的密毛疤痕

鉴定/评论

选择评论分类: