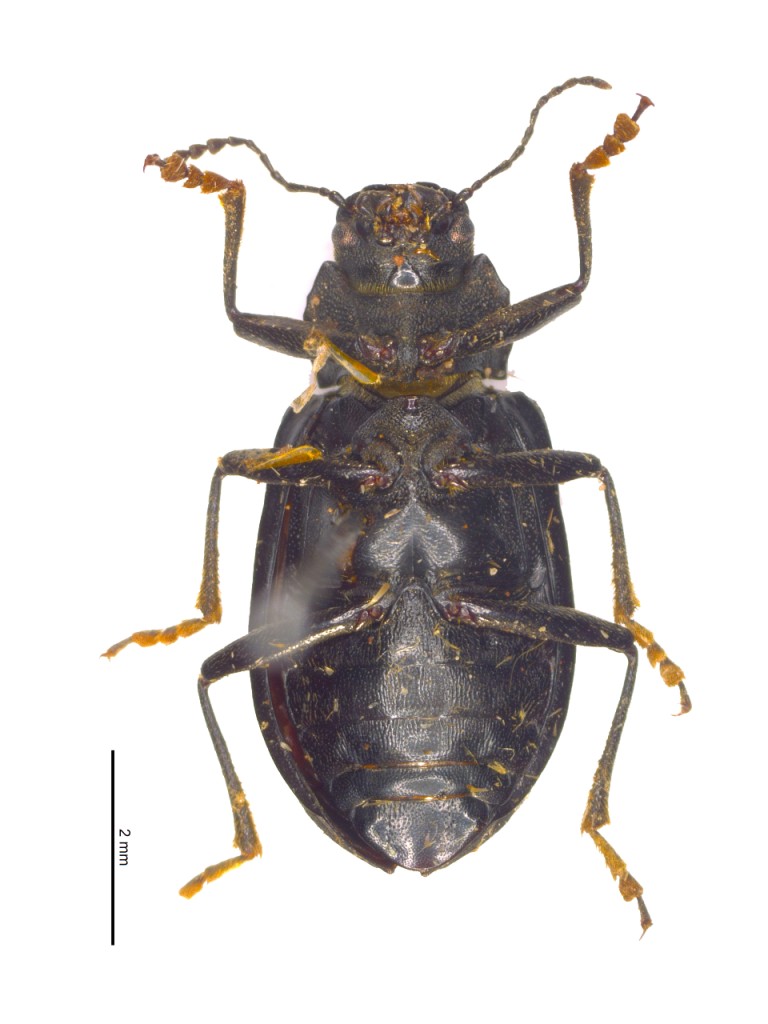
锯齿异土甲
Heterotarsus crenulifer
节肢动物门 Arthropoda
昆虫纲 Insecta
鞘翅目 Coleoptera
拟步甲科 Tenebrioidae
21131567198
头和前胸背板很粗的皱纹状刻点,前胸背板宽,后角直角形,前角几乎不突出,短的略圆形的直角形,前缘几乎直,侧缘从后到中央弧弯。鞘翅行间有细的、稀疏的黄色毛。第8行间在末端简单的龙骨状,行间的突起有光泽,小,大多数圆形,在第3、5和7行间通常有短的龙骨突。 体长:10.2 mm。
2113C0001600144754
151551
HBU
中国
河北大学标本馆
云南省
YN
任国栋 侯文君 李亚林
良好
合作研究共享
普通
CSTR:19715.10.2113C0001600144754