膨隆异土甲
Heterotarsus inflatus
节肢动物门 Arthropoda
昆虫纲 Insecta
鞘翅目 Coleoptera
拟步甲科 Tenebrioidae
21131567198
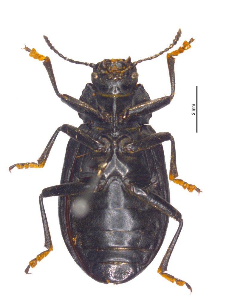
鞘翅行间明显隆起,纵条很窄且明显eingeachinitten,刻点行的刻点很细以至于几乎消失或行上没有蔓延,底暗淡。前胸背板圆盘形,相当扁平,暗淡,中部有稀疏的、向两侧皱纹状逐渐消失的刻点。前缘近于直,几乎不弯曲,有光泽的饰边围绕,侧缘弯曲,波浪状,后角略突出,直角形,前角微圆,近直角形。前胸腹板几乎直,基节突后部长直角形突出。中胸深V字形凹。 体长:13.5-15 mm。
2113C0001600144721
151517
HBU
中国
河北大学标本馆
云南省
YN
任国栋 侯文君 李亚林
良好
合作研究共享
普通
CSTR:19715.10.2113C0001600144721