中亚侧琵甲

缩略图

  • 物种名

    中亚侧琵甲

  • 拉丁名

    Prosodes zarudenyi

  • 节肢动物门 Arthropoda

  • 昆虫纲 Insecta

  • 鞘翅目 Coleoptera

  • 拟步甲科 Tenebrioidae

  • 资源编码

    21131567198

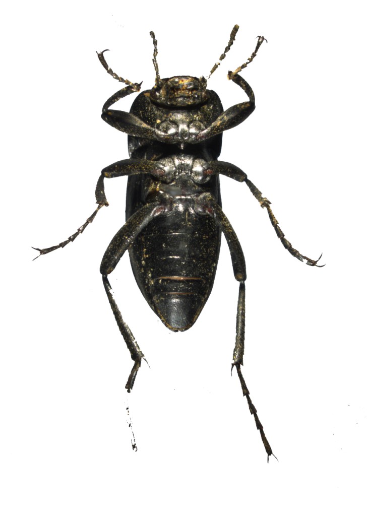
  • 描述

    体窄,黑色,无光泽。 唇基前缘微凹,侧缘斜直;前颊比眼窄;后颊前缘与眼同宽,向颈部逐渐收缩,布满金色细毛;头部背面布较均匀的圆形刻点。触角第2-11节相对长(宽)比为:3.0(3.5),10.5(4.0),6.0(4.5),5.5(4.5),5.5(4.5),6.0(5.0),4.5(5.0),4.5(5.0),4.0(5.0),6.0(4.5)。 前胸背板宽大于长约1.2倍,为头部宽约1.8倍;前缘微凹,几与眼间距等宽;侧缘弱弧形,中部最宽,向前圆缩,向后直,前缘、最宽处、基部的比为:3.8,6.2,5.0;前角钝圆,后角突出;后缘之前有1横凹。前胸侧板布皱纹。 鞘翅尖卵形,长大于宽1.9倍,中部之前最宽,大于前胸背板宽约1.1倍;翅缝较清晰,有两浅凹与之平行;翅盘有不规则的锉纹,端1/3较陡降落。 前、中、后足腿节和胫节相对长(宽)比为:腿节9.7(3.1),12.0(3.0),15.5(2.9);胫节9.1(1.7),10.5(1.8),13.8(1.9);后足第1-4跗节相对长(宽)比为:11.5(3.0),6.5(3.0),5.0(2.5),2.0(2.0)。 阳基侧突长大于宽约2.8倍,基板长是阳基侧突约2.2倍。 ♀:体显宽大,宽度相当于♂的2.0倍;鞘翅圆卵形,布3条纵脊;产卵瓣端生殖侧突呈拇指状,宽是长3.2倍,内缘直,外缘从基部向端部逐渐收缩,中部略膨大后向上继续收缩。 体长:♂ 17.5-20.0 mm,♀ 20.0-22.0 mm;宽:♂ 6.0-7.5 mm,♀ 9.0-11.0 mm。

鉴定/评论

选择评论分类: