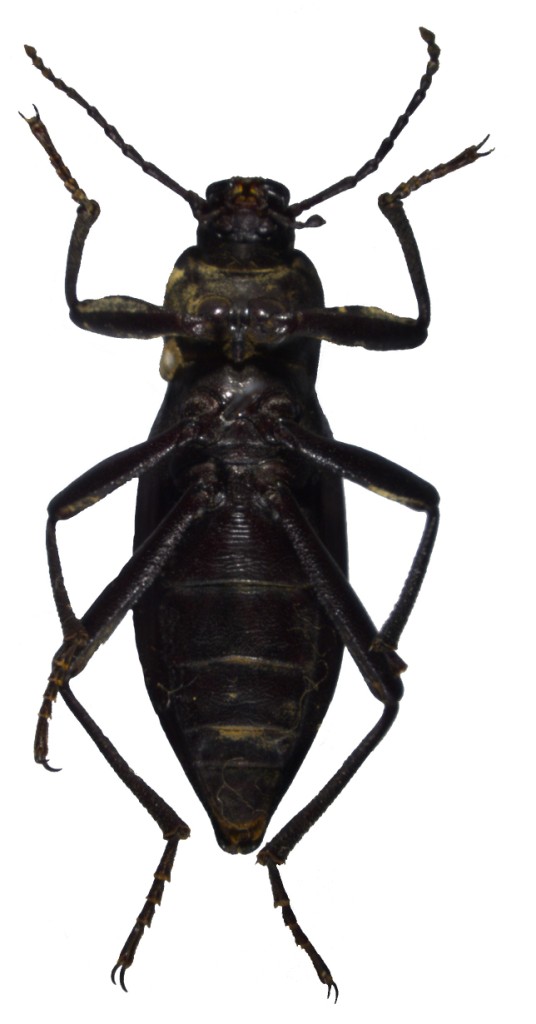
长型琵甲

缩略图

  • 物种名

    长型琵甲

  • 拉丁名

    Blaps perlonga

  • 节肢动物门 Arthropoda

  • 昆虫纲 Insecta

  • 鞘翅目 Coleoptera

  • 拟步甲科 Tenebrioidae

  • 资源编码

    21131567198

  • 描述

    体中略大型,瘦长卵形,亮黑色。 ♂:上唇前缘深凹,具毛列;唇基前缘弧凹,基间膜外露明显,与额脊连接处缺刻较深;头顶隆起,细刻点略密。触角长过前胸背板基部;第2节很短,第3-7节圆柱形,第3节是第4节的2.1倍,第4-7节近于等长,第8-10节椭球形,长大于宽约的2倍,末节尖卵形;第2-11节长(宽)比为:3.5(4.0), 19.0(4.0), 7.0(4.0), 9.0(3.5), 8.5(3.5), 9.0(4.0), 6.0(4.0), 6.0(4.0), 6.0(4.0), 8(4.5)。颏小,椭圆形,粗糙。 前胸背板近方形,宽大于长1.1倍,前缘、最宽处、基部的较宽度比为:7.6, 11.0, 9.0;前缘略凹,无饰边;侧缘圆,饰边完整;基部饰边粗,中间隆起,两侧弯曲;基部略宽于端部;前角圆钝,后角直略锐角形;盘区及基部隆起,具细刻点。前胸侧板具杂乱皱纹和不明显的粒点;前胸腹突中沟较深,向后斜伸。 鞘翅长卵形,由背面可见侧缘饰边全长,中后半部最宽,端部明显变细,很扁地落下,但末端决不延伸成尖锐突;盘区具粗糙刻点和明显的刻点行;翅尾屋脊形,较为特别,外端角尖,并向下钩状弯曲;假缘折窄,有细刻纹和刻点。第1-3腹部可见腹板有较明显的横纹,端部2节有刻点;第1、2可见腹板间无毛刷。 足细长,前足腿节端部略收缩,胫节下侧有瘤突,端部向内弯曲;中、后足腿节有刺状毛;后足胫节中部弯曲,第1跗节对称,短于第2+3节,第1-4节长(宽)比为:24.0(8.0), 13.0(8.0), 13.0(7.0), 29.0(7.5)。 阳茎细长,基板为阳基侧突的2.1倍,阳基侧突长大于宽1.8倍,端部略向内弯曲。 ♀:翅尾短;端生殖刺突靴形;余特征同♂。 体长:♂ 19.0-20.0 mm,♀ 24.0-25.0 mm;宽:♂ 6.5-7.0 mm,♀ 8.5-9.0 mm。

鉴定/评论

选择评论分类: