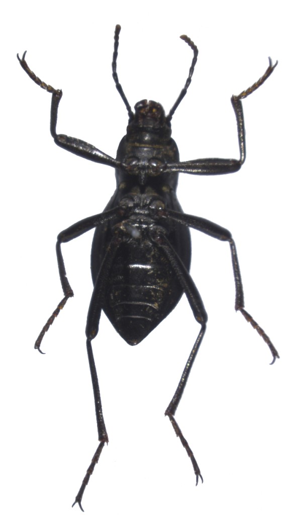
显边琵甲

缩略图

  • 物种名

    显边琵甲

  • 拉丁名

    Blaps cychroides

  • 节肢动物门 Arthropoda

  • 昆虫纲 Insecta

  • 鞘翅目 Coleoptera

  • 拟步甲科 Tenebrioidae

  • 资源编码

    21131567198

  • 描述

    体长卵形,粗大,黑色,中度光亮。头顶有中度细刻点,复眼内侧有浅凹;触角基部和端部焦油色,中间几节较短,端4节相当短。前胸背板小,横宽;侧缘略弧形,基部略弯,背面有稠密小刻点;基部横凹;前、后角钝;小盾片钝三角形,被褐色毛。鞘翅卵形,中度扩大,端部钝;肩向前伸出,明显;翅背面细革质状,密布成行的细刻点,翅缝略凹,外侧区分光亮,外肋较明显。腹部光亮,平滑,肛节有稠密刻点。该种似B. mucronata,但鞘翅更短,背面更凸出,侧边强烈变圆可与后者区别。足有细点。 体长:18.0 mm。 分布:云南。

鉴定/评论

选择评论分类: